הרוגים, הצפות ורוחות ב-190 קמ"ש: "מילטון" מכה בפלורידה
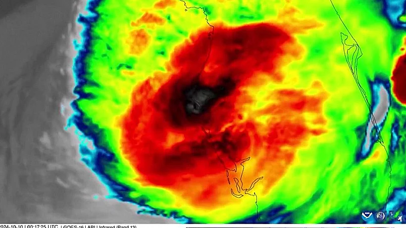
"מילטון" הכה בפלורידה בדרגה 3 עם רוחות מסכנות חיים וגשם כבד שגרם להצפות של כ-2 מטר - זאת שבועיים בלבד לאחר שהוריקן "הלין" פקד את אותו האזור וגרם לנזק כבד. עם זאת, נראה לפי שעה כי הסופה נחלשת. דיווח: לפחות ארבעה נהרגו
לאחר היערכות ממושכת, הלילה (בין רביעי לחמישי) הכה הוריקן "מילטון" בפלורידה בדרגה 3, כשמאוחר יותר נחלש לקטגוריה 2 וכעת עומד על דרגה 1. הסופה התבטאה ברוחות מסכנות חיים של 190 קמ"ש וגשם כבד שגרם להצפות, וזאת לאחר שבועיים בלבד מההורקין "הלין" שפקד את אותו האזור וגרם לנזק כבד. ב-CNN דווח על לפחות ארבעה הרוגים.
חשש כבד בארצות הברית למתגוררים בבית אבות בפאלם ביץ' גארדנס, פלורידה לאחר ש-19 סופות טורנדו פקדו את האזור טרם הגעת ההוריקן והוגשה בקשה לערוך חיפוש אחר נעדרים.
Breaking: Significant storm surge reported from Hurricane Milton in Port Charlotte, Florida. pic.twitter.com/LsCLEB6oiZ
— PM Breaking News (@PMBreakingNews) October 10, 2024
בתוך כך, יותר משלוש מיליון בני אדם נשארו ללא חשמל ודווח על הצפות בגובה של כשני מטר, כמו כן שדה התעופה עדיין מושבת. חשש כבד בקרב המקומיים לנזק שייגרם לקהילות המתגוררות בצפיפות בסמוך לחוף לאחר שהסופה פגעה בהם באופן ישיר. את הנזק הכולל יהיה ניתן להעריך רק לאחר שההוריקן יעבור את פלורידה וכוחות ההצלה יוכלו לתת מענה למקומיים בביטחון.

נשיא ארצות הברית ג'ו ביידן אמר: "הוריקן "מילטון" עדיין יכול להיות הרסני, ויכול למחוק קהילות שלמות, וגם להרוג. אני מפציר בפני כל מי שבדרכה של הסופה, הקשיבו לכוחות הביטחון והשמעו בקולם. כעת, כניראה שלא ניתן להתפנות, אז אני מבקש מאנשים למצוא מכסה בטוח".


בארצות הברית נערכו בימים האחרונים להגעת ההוריקן "מילטון" אל החוף המערבי בפלורידה - וראש עיריית טמפה, הזהיר את התושבים: "אתם הולכים למות אם לא תתפנו". ברביעי הציפו את הכבישים הראשיים אלפי כלי רכב - בניסיון להימלט מאימת ההוריקן, שחזאים ציפו שיגיע לחופים בדרגה 5, הדרגה הגבוהה ביותר במדידת סופות מסוג זה.



