אוסטרליה: ציקלון מכה, רבבות פונו
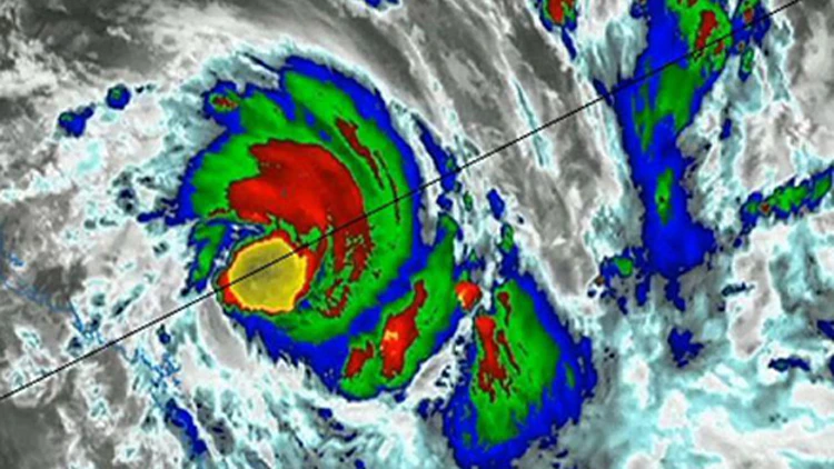
הסופה "דבי", שמדורגת ברמה 4, מתקרבת לחופי צפון מזרח אוסטרליה באזור קווינסלנד. התושבים בחוף קיבלו הוראה להתפנות מחשש לעליית מפלס המים

אלפי אוסטרלים התפנו ביממה אחרונה מבתיהם בזמן שסופת הציקלון "דבי" עושה את דרכה לכיוון קווינסלנד. הרשויות כבר הוציאו צו פינוי ל-30 אלף תושבים שמתגוררים ביישובים סמוך לקו החוף. אלו גם היישובים שצפויים לספוג רוחות במהירות של 300 קמ"ש.
רוצים לקבל עדכונים נוספים? הצטרפו לפייסבוק רשת
תושבי מקאי, עיר שנמצאת במרחק של 950 ק"מ מבריסבן, קיבלו הוראה לעלות לאזורים גבוהים, אלפים כבר עזבו את בתיהם. סופת הציקלון צפויה להתחזק לקראת הפגיעה בחוף של צפון מזרח אוסטרליה. החזאים באוסטרליה חוזים סופה בדרגה 4 - דרגה אחת מתחת לזו הגבוהה ביותר.

"אנחנו מאוד מודאגים מהעוצמה של הסופה הזו, זה מאוד מפחיד", אמרה מושלת חבל קווינסלנד אנסטסיה פלאסזוק. "כרגע, זה נראה שהיא מתקדמת היישר למקאי. הזמן שבו האנשים צריכים לזוז - הגיע".

סופה כזו לא הכתה באוסטרליה מאז 2011. פינוי בהיקפים כאלה לא התרחש ביבשת מאז שסופת הציקלון "טרייסי" הכתה בעיר דרווין ב-1974.



