"דבי" הכתה: הסופה פגעה באוסטרליה
סופת הציקלון "דבי" מכה בצפון מזרח המדינה ומותירה נזקים כבדים. בתים קרסו, סירות נהרסו ואלפים נותרו בלי חשמל וטלפון

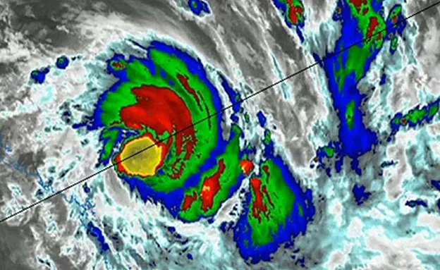
רוחות חזקות, גשמים עזים וגלי ענק שנשברים על החוף - סופת הציקלון "דבי" שפגעה בלילה (שלישי) בקווינסלנד שבצפון מזרח אוסטרליה משיכה לגרום נזקים. הסופה הרסה בתים, סירות ויאכטות שעגנו במרינות וגרמה לניתוקם של עשרות אלפי בתים מחשמל.
רוצים לקבל עדכונים נוספים? הצטרפו לפייסבוק רשת

רוחות במהירות של 260 קמ"ש נמדדו בשעות האחרונות באזור הסמוך לשמורת האלמוגים המפורסמת Great Barrier Reef. כשהסופה פגעה, היא הוגדרה כציקלון ברמה הרביעית - השניה בחומרתה במדד הסופות. כשהיא הגיעה ליבשה היא נחלשה מעט לדרגה שלוש. החזאים אומרים שאנחנו נמצאים בשיאן של 10 שעות סוערות במיוחד, שאחריהן - מחר - הסופה תירגע.

על פי הדיווחים, אדם אחד נפצע כאשר קיר קרס עליו בגלל עוצמת הרוח, אבל עדיין מוקדם לעשות סיכום של הנזקים. באוסטרליה מקווים שההודעה המוקדמת אמש ל-30 אלף בני אדם להתפנות מביתם הצילה את חייהם של רבים. "אנו מקבלים דיווחים על פציעות, אני מקווה שלא יהיו הרוגים - אנו צריכים להתכונן שגם זה יגיע" אמר איאן סטיוארט, מפקד המשטרה בבריסביין בקווינסלנד.
את ה"מכה" החזקה ביותר קיבל חוף איירלי זמן קצר אחרי חצות וכתוצאה קווי המתח וקווי הטלפון נפלו כולם. "הרוח עשתה המון רעש והגשם הגיע לכל מקום - זה נשמע כמו רכבת ללא שליטה", סיפרה לסוכנות הידיעות רויטרס ג'אן קליפורד שמתגוררת בחוף.



